E145/C172, Gulfport MS USA, 2011
E145/C172, Gulfport MS USA, 2011
Summary
On 19 June 2011, an Embraer ERJ145 being operated by Expressjet AL on a scheduled passenger flight departing Gulfport in day VMC came into close proximity with a privately operated Cessna 172 which had just departed another runway at the same airport which had an extended centreline which passed through the centreline of the runway used by the 145. There was no manoeuvring by either aircraft and no injuries to any occupants.
Flight Details
Aircraft
Operator
Type of Flight
Public Transport (Passenger)
Flight Origin
Intended Destination
Take-off Commenced
Yes
Flight Airborne
Yes
Flight Completed
Yes
Phase of Flight
Take Off
Flight Details
Aircraft
Operator
Type of Flight
Private
Flight Origin
Take-off Commenced
Yes
Flight Airborne
Yes
Flight Completed
Yes
Phase of Flight
Take Off
Location
Location - Airport
Airport
General
Tag(s)
Aircraft-aircraft near miss
HF
Tag(s)
ATC clearance error,
Distraction,
Ineffective Monitoring
LOS
Tag(s)
Required Separation not maintained,
ATC Error
Outcome
Damage or injury
Yes
Non-aircraft damage
Yes
Non-occupant Casualties
No
Off Airport Landing
Yes
Ditching
Yes
Causal Factor Group(s)
Group(s)
Air Traffic Management
Safety Recommendation(s)
Group(s)
None Made
Investigation Type
Type
Independent
Cite This Page
SKYbrary Aviation Safety. (June 2, 2023). E145/C172, Gulfport MS USA, 2011. EUROCONTROL.
Retrieved February 2, 2026
from https://skybrary.aero/accidents-and-incidents/e145c172-gulfport-ms-usa-2011
UID: 21004
Copied!
COPY
Description
On 19 June 2011, an Embraer ERJ145 being operated by Expressjet AL on a scheduled passenger flight departing Gulfport in day Visual Meteorological Conditions (VMC) came into close proximity with a privately operated Cessna 172 which had just departed another runway at the same airport which had an extended centreline which passed through the centreline of the runway used by the 145. There was no manoeuvring by either aircraft and no injuries to any occupants.
Investigation
After an initial delay in receiving notification of the event, the National Transportation Safety Board (USA) (NTSB) carried out an Investigation.
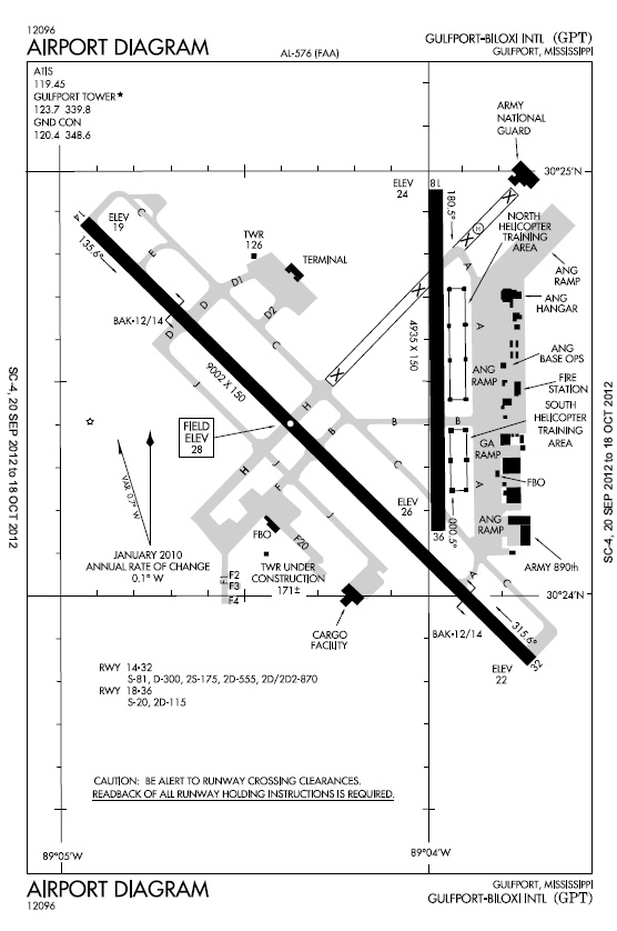
It was established that both aircraft had been being flown in accordance with their ATC clearances, the 145 taking off from runway 14 shortly after the Cessna had taken off from runway 18 and that the same controller had issued both take off clearances. Radar data showed that the 145 had crossed 300 feet laterally ahead of the Cessna when both were at an altitude of 300 feet and still within the airport perimeter. No traffic information was issued to either aircraft and it appeared that the E145 pilots had not noticed that the Cessna had just received a conflicting take off clearance.

Gulfport-Biloxi airport diagram
At the time of the incident, the TWR was manned by an approach controller performing radar functions in the tower and a ‘local controller’ who was also the designated ‘controller-in-charge’. At the time the two conflicting take off clearances were issued, an OJTI and a developmental controller were standing behind the controller-in-charge having just arrived in the TWR to take over the position and heard the consecutive takeoff clearances. The OJTI advised the controller that “you’ve got two rolling” but there was no acknowledgement. The developmental controller recalled seeing the 145 pass in front of the Cessna. After the conflict, the 145 crew queried whether the Cessna had been on a go around and were told by the controller (erroneously) that this was the case.
During interview, the incident controller stated that from previous experience, he had anticipated that the Cessna departing runway 18 would take 3 to 5 minutes to get airborne and that the E145 would depart well in advance of the Cessna. He also stated that he did not observe the two aircraft depart as he was assisting the APP controller with a flight progress issue at the flight data input/output (FDIO) terminal. He further advised that when the 145 queried him about the Cessna, he did not understand how the two aircraft could have conflicted with each other and “assumed the Cessna was a non radio arrival at the airport on a go-around.” He “did not comprehend that the Cessna could have departed so rapidly after being issued a takeoff clearance”.
It was noted that Gulfport was a combined APP radar and TWR facility which also functioned as a training facility staffed by two managers, 13 qualified controllers and, at the time of the occurrence, 10 ‘developmental controllers’ who were all required to receive a minimum of two hours OJT each day. The radar room was not open at the time of the occurrence and it was noted that a facility policy required that in such circumstances, a log entry should be made to record the fact and the reason for it. The incident controller (and controller-in-charge) subsequently stated that had the radar room been opened, the available staffing would not have allowed compliance with the mandatory two hour training for developmental controllers but no reason was offered to explain why there was no log entry.
The incident was first reported to facility management the following day by the OJT and the developmental controller who had witnessed it. The controller involved did not report the incident and stated that he was not aware of the facility investigation until he arrived for his next duty after two days off and not aware of his ‘operational error’ until the day after that. The manager to whom the incident controller was responsible advised the Investigation that he was “frustrated at the continual problems created by the incident controller and the inability to effectively correct his deficiencies”. He also stated that the incident controller “was no longer utilised as an OJTI due to poor teaching techniques” and that as a result of the incident, he was also now no longer allowed to work the TWR position.
The Investigation found that whilst management were aware that the incident controller had already been withdrawn from OJTI duty and subsequently from TWR duty, he had not been advised of this action and was also still certified to work as a controller-in-charge which by definition allowed him to work any position and, after assigning controller-in-charge responsibility to another controller, perform OJTI duties after hours, on weekends, before management arrived at the facility each weekday morning, or at any other time when he was not under active supervision. It was noted that it had been entirely fortuitous that a situation whereby the incident controller could have assigned himself to the TWR position or provided OJTI had not arisen between the time of the investigated occurrence and the NTSB Investigation.
The Investigation noted that the FAA Air Traffic Control Order reference to intersecting runway operation extant at the time of the event stated that traffic information must be issued to each aircraft operating on intersecting runways and that departing aircraft must be separated from an aircraft using an intersecting runway, or runways when the flight paths intersect, by ensuring that “the departure does not begin takeoff roll until the preceding aircraft has departed and passed the intersection, has crossed the departure runway, or is turning to avert any conflict”.
The Probable Cause of the incident was determined by the NTSB as:
“The Gulfport control tower local controller cleared two aircraft for takeoff from runways with intersecting departure flight paths without ensuring the first aircraft had passed the flight path intersection prior to clearing the second aircraft for takeoff.”
The Final Reports of the Investigation OPS11IA673A and OPS11IA673B were approved by the NTSB on 18 January 2012. No Safety Recommendations were made and any ANSP (FAA) safety action taken as a result of the findings is not recorded.






